Skip to content
Leslieville Historical Society
Previous Image
Next Image
19120517-ts-danforth-park4
Post navigation
Published in
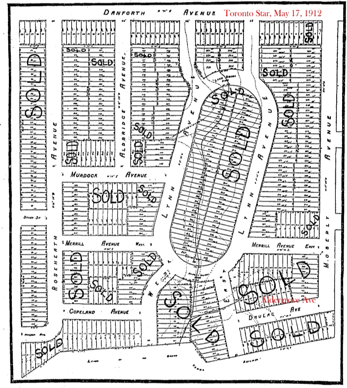
A Coxwell Avenue Secret
Leave a comment
Cancel reply
Δ
Comment
Subscribe
Subscribed
Leslieville Historical Society
Join 135 other subscribers
Sign me up
Already have a WordPress.com account?
Log in now.
Leslieville Historical Society
Subscribe
Subscribed
Sign up
Log in
Copy shortlink
Report this content
View post in Reader
Manage subscriptions
Collapse this bar